Skip links and keyboard navigation

Hard undifferentiated coral on unconsolidated substrate in shallow to deep water

Short description

Subtidal hard corals in shallow (0-10m) to deep water (10-30m) on unconsolidated substrates.

Disclaimer: Ecosystem type descriptions are based on biophysical attributes identified in Central Queensland through expert advice and supported by scientific literature. Not all ecosystem types are mapped based on current inventory, and many of the ecosystems described here may also occur in other parts of Queensland.

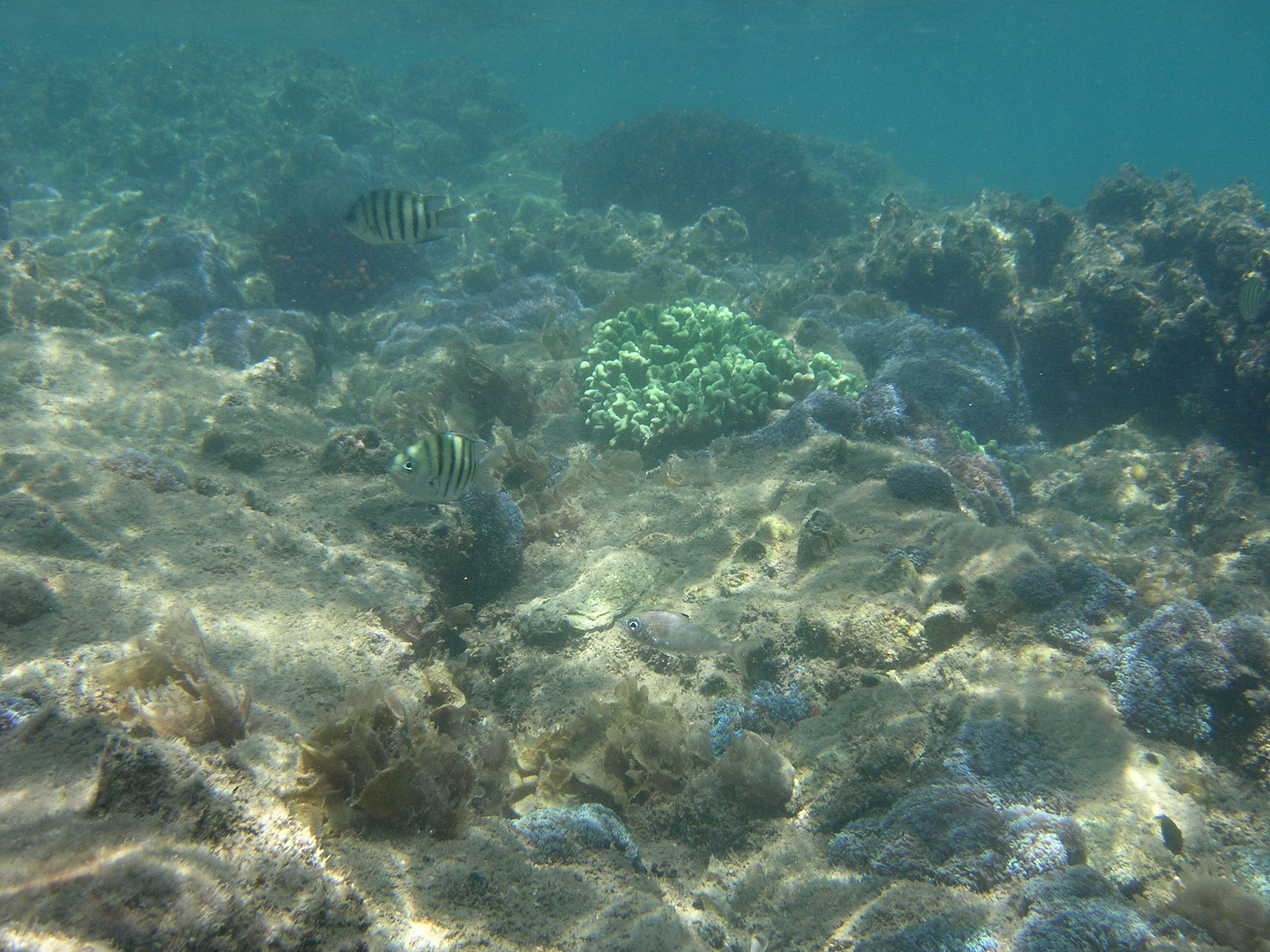
Little Woody Island, Great Sandy Strait Ramsar site. Photo by Kirsten Wortel, Queensland Government

Classification categories

Select from the links below to view related ecosystem type categories

Long description

Subtidal hard corals in shallow (0 to 10 metres) to deep water (10 to 30 metres) on unconsolidated or intermediate substrates including boulder, gravel (i.e. cobble and pebble), sand, mud and/or coffee rock. Hard corals may be of any structural growth form, although often unconsolidated substrates are colonised by non-branching growth forms. Similar to type 94 (undifferentiated coral on unconsolidated substrate in shallow to deep water) except hard coral is confirmed as present and can be split out from a mixed coral ecosystem, and importantly, is starting to create the beginnings of a calcareous framework.

Many substantial Great Barrier Reef fringing reefs originally began thousands of years ago by hard corals colonising unconsolidated substrates such as clay (mud)/sand (e.g. Dunk Island, Great Palm Island) or gravel/boulder[3]. Similar rubbly coral areas exist today. The difference between these communities and those on consolidated substrate is that they are vulnerable to mechanical movement, (e.g. wave action throwing unconsolidated particles up onto the shores, and may never become permanently established (Smithers pers. comm.).)

Other biota present include Alcyonarian soft corals and other octocorallians*, sponges, bryozoans, erect calcareous/erect macrophyte algae and turf algae.

Refer to type 70 (undifferentiated corals on unconsolidated) for comments concerning the origin of many Great Barrier Reef fringing reefs on unconsolidated sediments[3].

See also other coral types on unconsolidated substrates 78, 86, 94

*Octocorallia is a subclass of the class Anthozoa in the phylum Cnidaria, and include soft corals, gorgonians, sea whips, sea pens, sea fans and octocorals. Like some of the many other anthozoans, octocorallians are sessile polyp-bearing animals with a mobile larval phase. Octocorallians are distinguished by the eight (i.e. octo) tentacles in each polyp. Most octocorallians do not deposit a rigid calcium carbonate exoskeleton, and therefore tend to attach to reefs rather than contribute to reefal frameworks as per the reef building Scleractinian (hard) corals[1].

Special values

The values of Queensland’s coral reefs are internationally recognised in the World Heritage and Ramsar conventions. The Outstanding Universal Value of the Great Barrier Reef World Heritage area is based on four criteria (vii), (viii), (ix), (x). The Ramsar convention also includes coral reefs as one of its wetland types which make up part of a site’s ecological character (a combination of the ecosystem components, processes and services of the wetland). The Great Sandy Strait Ramsar wetland also includes coral reefs (e.g. Woody and Round Island reefs, coral communities at Little Woody Island, and soft corals on coffee rock reefs). Shoalwater and Corio Bays Ramsar wetland and the Moreton Bay Ramsar wetland also includes fringing coral reefs.

Hard corals growing on unconsolidated substrates provides the beginnings of calcareous reefal framework at a finer scale, providing structure for the attachment of other flora and fauna, e.g. sponges, other invertebrates, macroalgae etc. and may provide food and shelter for corallivorous fish (e.g. angelfish) or algal farmers such as damselfish. Corally, gravelly, rubbly substrates can be productive areas for gastropod molluscs (e.g. cowries, cones and murex.)

Diagnostic attributes

Inundation 'Subtidal'

Benthic depth 'Intertidal (>0m)', 'Shallow (0-10m)', 'Deep (10-30m)'

Structural macrobiota 'Hard coral – undifferentiated'

Consolidation 'Unconsolidated', 'Intermediate', 'Unknown'

Qualifiers

Potentially Naturalness qualifiers are relevant. Being able to be shifted by mechanical action means that these ecosystems can be potentially modified by trawling or dredging.

Distribution

Likely to occur on coral rubble adjacent to an existing reef, such as on a reef flat or slope adjacent to a reef. Also likely to occur on boulders and gravel, on mud or sand. Potentially these ecosystems may consist of scattered rubble and inventory of gravel surrounding coral ecosystems is recommended.

The following relates to distribution of this ecosystem type within the Central Queensland mapping area:

  • Geologies with rocky or gravelly substrates such as Port Curtis may provide suitable substrates for coral settlement. Iron and aluminium duricrust fragments have coral growth at Dundowran[4]. Several substantial fringing reefs in Hervey Bay that are now consolidated structures growing on unconsolidated sands and gravels which may have originated in this way 5,000 years ago e.g. Pialba and Scarness reefs (T. Done pers. comm.).

Comments

Inventory on gravelly substrates will expand the distribution of this ecosystem type. Consideration of scale is important as these ecosystems may not exist at a seascape scale. This ecosystem type can be part of a succession on unconsolidated substrate, ultimately leading to consolidated calcareous reef, i.e. types 70 (undifferentiated coral on unconsolidated), 94 undifferentiated coral on unconsolidated), 86 (non-branching hard coral on unconsolidated), 98 (soft coral reefal gardens on unconsolidated), and then to consolidated types 90 (undifferentiated coral), 82 (non-branching hard coral), 74 (branching hard coral) etc.

Water temperature is critical to all corals as they are sensitive to extremes of heat and cold, resulting in bleaching due to the loss of endosymbiotic dinoflagellates (e.g. zooxanthellae) and therefore the ability to photosynthesise[2].

Additional Information

Protecting the Great Barrier Reef - Queensland Government

Coral - Department of the Environment, Tourism, Science and Innovation

Coral reefs - Queensland Museum

The Reef - Great Barrier Reef Marine Park Authority

Corals of the World

Great Barrier Reef - UNESCO

Nationally (DIWA) and internationally important (Ramsar) wetlands - WetlandInfo

Coral Indicators for the 2017 Gladstone Harbour Report Card - Australian Institute of Marine Science

Reef Report Card 2016 - Queensland Government

Great Barrier Reef Outlook Report - Great Barrier Reef Marine Park Authority

Monitoring inshore reefs - Australian Institute of Marine Science

Reef Check Methods - Reef Check Australia

Coral reefs - Museum of Tropical Queensland

Remote Sensing Research Centre - The University of Queensland


References

  1. ^ Fabricius, K (2010), 'Octocorallia', in Encyclopedia of Modern Coral Reefs, pp. Chapter-35.
  2. ^ Hoegh-Guldberg, O (1999), 'Climate change, coral bleaching and the future of the world's coral reefs', Marine and Freshwater Research. [online], vol. 50, no. 8, p. 839. Available at: http://www.publish.csiro.au/?paper=MF99078 [Accessed 11 June 2019].
  3. ^ a b Smithers, SG, Hopley, D & Parnell, KE (2006), 'Fringing and nearshore coral reefs of the Great Barrier Reef: episodic Holocene development and future prospects', Journal of Coastal Research, pp. 175-187.
  4. ^ Zann, M (2012), The use of remote sensing and field validation for mapping coral communities of Hervey Bay and the Great Sandy Strait and implications for coastal planning policy, The University of Queensland.

Last updated: 12 July 2019

This page should be cited as:

Department of the Environment, Tourism, Science and Innovation, Queensland (2019) Hard undifferentiated coral on unconsolidated substrate in shallow to deep water, WetlandInfo website, accessed 11 March 2026. Available at: https://wetlandinfo.detsi.qld.gov.au/wetlands/ecology/aquatic-ecosystems-natural/estuarine-marine/descriptions/70/

Queensland Government
WetlandInfo   —   Department of the Environment, Tourism, Science and Innovation